2025年7月24日,在“2025第2屆智慧抽水蓄能電站大會暨水電智能運維及人工智能大會”上,「金蓄」2025抽水蓄能行業技術案例創新應用評選獲獎名單公布。
廣東省水利電力勘測設計研究院有限公司憑借其“超高水頭鋼筋混凝土襯砌水道設計關鍵技術”案例,獲得“抽水蓄能領域案例創新獎”。
單位介紹
廣東省水利電力勘測設計研究院有限公司始建于1956年春,是國家第一批認定的高新技術企業,全國水利水電勘測設計行業信用AAA+級企業,第一家通過“三標(質量、環境、職業健康安全)一體化”認證企業,全國文明單位。具備雄厚的水利水電工程勘察、設計實力,業務領域涵蓋水利水電、新能源、公路交通、工業與民用建筑、電力、環保、水保、市政、工程總承包、生態水利、智慧水利、工程監理、監測、檢測等。
先后設計完成了雷州青年運河灌渠,北江大堤,流溪河、新豐江、楓樹壩、白盆珠、鶴地、高州、南水等水庫,樂昌峽、高陂水利樞紐等一大批兼有防洪減災、發電、灌溉和水資源開發利用等功能的工程,以及東深供水工程、珠三角水資源配置工程、鑒江供水工程、引韓濟饒、茂名濱海新區供水、稔平半島供水、三江水系連通、廣州市西江引水、粵東水資源配置工程、環北部灣廣東水資源配置工程等一大批引調水工程的勘測、設計和監理工作;開展了廣州、惠州(博羅)、清遠、深圳、陽江、惠州(中洞)、茂名電白、安徽桐城、福建云霄、甘肅玉門等大型抽水蓄能電站以及緬甸吉榮吉瓦水電站、柬埔寨阿江水利灌溉開發工程、老撾懷巴萊上游水電站、安哥拉盧阿西姆水電站(修復與擴容)等一批國內外水電、水利工程。
工程概況
陽江抽水蓄能電站處于廣州~湛江粵西片的中部,直線距廣州市230km,距陽江市60km。電站總裝機規模2400MW,近期裝機1200MW,遠期裝機1200MW。
該電站是國家“十三五”水電發展規劃重點項目,是我國已建單機容量最大、鋼筋混凝土襯砌水道水頭最高、機組設備全面國產化的抽水蓄能電站,是我國超高水頭、40萬千瓦級抽水蓄能機組設備自主化的創新依托項目。電站綜合技術指標國內第一,工程建設過程中成功攻克一系列重大關鍵技術難題,主要技術成果達到國內領先水平,對推動本行業技術發展具有重大意義。
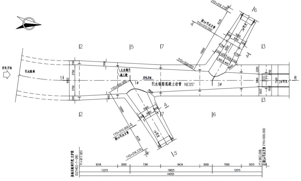
樞紐布置圖
三維實景圖
三維地下洞室群
研究背景
陽江抽水蓄能電站突出特點是高水頭,引水發電隧洞下平洞和岔管段內水壓力達800m水頭,遠高于國內已建和在建的其他蓄能電站,在國際上也處于前列。
水道采用鋼筋混凝土襯砌,利用圍巖承擔主要內水壓力。設計工作需要回答的基本問題之一是襯砌發生破裂以后圍巖滲流場變化及其可能造成的工程影響,以及將這種影響控制在工程可以接受范圍內所需要采取的工程措施。
高內水壓力作用下襯砌開裂和圍巖滲流場特征是一個非常復雜的綜合性問題,襯砌開裂尺寸(尤其是寬度)除受到襯砌自身幾何和力學特性、壓力水頭等工程因素影響以外,還與圍巖地質條件密切相關,這已經在一些工程實踐中得到充分驗證。襯砌開裂程度研究需要綜合考慮自然地質條件和工程因素的共同作用,并非單一的結構設計問題。同時,在襯砌開裂和圍巖滲流場特征分析的基礎上,為了控制內水外滲的總滲漏量,保障工程的安全穩定運行,采取合適的防滲設計方案是工程設計的核心內容。
國內外高水頭鋼筋混凝土襯砌隧洞
陽蓄電站水道承受的水頭超高,設計灌漿壓力均高于國內已建同類工程,灌漿設計和施工均超出現有工程經驗范圍,需要通過現場高壓灌漿試驗,分析灌漿效果及影響,優化調整固結灌漿設計參數,驗證鋼筋混凝土壓力隧洞抗高內水壓力的能力和滲透穩定性,以保障工程安全。
綜合以上分析,需對超高水頭鋼筋混凝土襯砌及灌漿設計進行專門的研究論證,主要從以下兩方面開展研究工作:
1.進行隧洞高壓固結灌漿現場試驗,并進行一系列巖體試驗、監測,優化調整固結灌漿設計參數。
2.開展高壓鋼筋混凝土襯砌水道及高壓岔管的數值模型計算分析和物理模型試驗研究。
研究內容、研究方法及采用的技術路線
創新點、亮點
1.首次在抽水蓄能電站利用1:1原型科研試驗洞系統性開展了高壓灌漿試驗、安全監測和巖體力學試驗,解決超高水頭鋼筋混凝土襯砌水道高壓固結灌漿設計難點。陽江抽水蓄能電站下平洞和岔管段靜水壓力799m,遠高于國內已建和在建的其他蓄能電站,在世界抽水蓄能電站中處于領先位置。
陽蓄下平洞和岔管采用鋼筋混凝土襯砌,充分利用圍巖承擔內水壓力,對工程地質條件要求較高,圍巖固結灌漿最大灌漿壓力達10MPa,超出現有工程經驗。施工圖階段利用已有地質探洞,采用1:1原型試驗洞開展了一系列科研試驗,包括灌漿試驗(含工藝試驗)、三個階段的現場巖體試驗及現場監測,并結合高壓隧洞裂隙巖體滲透穩定研究成果,進行高壓固結灌漿設計參數優化研究,成功解決了上述設計難題。2021年11月陽蓄輸水系統充水試驗一次成功,也驗證了水道超高壓固結灌漿參數的合理性。
在灌漿試驗期間,針對科研試驗洞不同地質單元、襯砌結構、灌漿壓力,利用相關監測儀器實現數據實時采集,首次應用基于BOTDA的分布式傳感光纖(光纖完全附著于整根環向鋼筋,實現了測點的連續布置、全覆蓋,同時兼顧通信光纜作用)和傳統點式儀器進行對比監測,指導灌漿施工。為研究圍巖在灌漿前后的物理力學狀態及其變化規律,在固結灌漿前、水泥灌漿結束后、化學灌漿結束后三個不同階段開展巖體試驗,對圍巖的物理力學指標進行現場測試以掌握巖體參數,其中,變形參數(彈性模量、變形模量)采用承壓板法和鉆孔徑向加壓法對比分析,剛性承壓板法采用5級一次循環加載施壓,最大壓力15.0MPa,這種量級的試驗壓力目前在國內較少開展。
科研試驗洞
陽蓄下平洞地質條件復雜,存在多條斷層帶影響,為了滿足隧洞滲透穩定要求,需要對圍巖進行固結灌漿防滲處理。斷層水泥灌漿壓力達到10MPa,化學灌漿壓力達到8MPa,均為國內水電工程最大灌漿壓力。下平洞灌漿布孔方式在傳統方式的基礎上進行改進,針對不同圍巖及地質構造條件,采用徑向系統灌漿、雙向斜孔系統灌漿、斜穿斷層加強灌漿、順斷層加強灌漿四種組合方式處理。結合BIM+GIS正向設計技術手段,灌漿孔均在襯砌澆筑前預埋,既保證了灌漿孔充分的穿過斷層,實現加固地質斷層等薄弱構造以滿足防滲的目的,也避免了后期新開灌漿孔對襯砌結構的破壞。經過三年半的水道運行情況表明,鋼筋混凝土襯砌水道圍巖灌漿圈加固良好,未發生水力劈裂,設計達到預計目標。
三維灌漿布孔圖
2.陽蓄電站超高壓鋼筋混凝土岔管靜水壓力799m,PD值高達到5993m.m,動水壓力1100m,PD值高達到8250m.m,采用鋼筋混凝土透水襯砌設計,建成國內一洞三機大型高壓鋼筋混凝土岔管。
首次采用數學模型和物理模型試驗相結合的方法,根據高壓岔管水力學數值模型試驗,優化岔管體型,再結合物理模型對岔管體型進行驗證?;陉栃铍娬靖邏翰砉茉O計體型,研究了岔管體型參數對岔管水力學特性的影響,包括平底岔管體型、同側岔管體型、主管等徑體型與中心對稱岔管體型水力特性的對比分析;不同分岔角、不同主支管徑比、不同錐角對岔管水力特性的影響規律。最終采用中心對稱岔管體型,分岔角60°,錐角60°。
高壓岔管體型圖
高壓岔管數值模型
高壓岔管灌漿三維圖
高壓岔管物理模型
在深入研究高壓隧洞透水襯砌理論的基礎上,結合以往已建抽水蓄能電站透水襯砌理論的設計實踐,充分考慮圍巖的聯合承載以及高水頭下裂隙巖體的滲透特性,首次將孔隙/裂隙雙重介質應力-滲流耦合理論應用于陽蓄工程高壓隧洞,并建立了一洞三機大型高壓鋼筋混凝土岔管的雙重介質應力場-滲流場耦合計算模型,利用建立的模型對陽蓄高壓隧洞及岔管進行了數值仿真分析,確定了襯砌配筋參數以及圍巖防滲控制措施,保證超高水頭復雜鋼筋砼受力結構的安全以及圍巖滲透穩定。通過陽蓄輸水系統充水試驗一次成功,驗證了超高壓隧洞透水襯砌設計方法和分析理論的合理性和有效性。
陽江抽水蓄能電站上水庫與下平洞高差達730米,單級豎井高差達350米,充水試驗難度超出現有工程經驗。采用常規引水道充水方案,存在水體因落差大、自重加速度帶來的高流速水流對下平洞混凝土襯砌結構破壞的問題。為解決上述難題,引水道充水首先利用尾水進行反向充水。反向充水的臨時管路是從2#機側公共消防取水管濾水器前DN350蝶閥處,接至2#機進水閥前DN200壓力鋼管排水管球閥后,先充下平洞,充至下豎井20m高程位置,先形成15米厚水墊,再利用上庫進出水口閘門上的充水閥進行整個引水系統的充水,解決了超高水頭引水道充水方案設計難點。2021年11月陽蓄輸水系統充水試驗順利進行并一次成功,也驗證了充水方案的合理性。
上一篇:無